REQUEST A TOUR If you would like to see this home without being there in person, select the "Virtual Tour" option and your agent will contact you to discuss available opportunities.
In-PersonVirtual Tour

Listed by Schlegel Realty
$275,000
4.07 Acres Lot
UPDATED:
Key Details
Property Type Land
Listing Status Active
MLS Listing ID 1608835
HOA Y/N No
Annual Tax Amount $1,000
Tax Year 2024
Lot Size 4.070 Acres
Acres 4.07
Source Maine Listings
Property Description
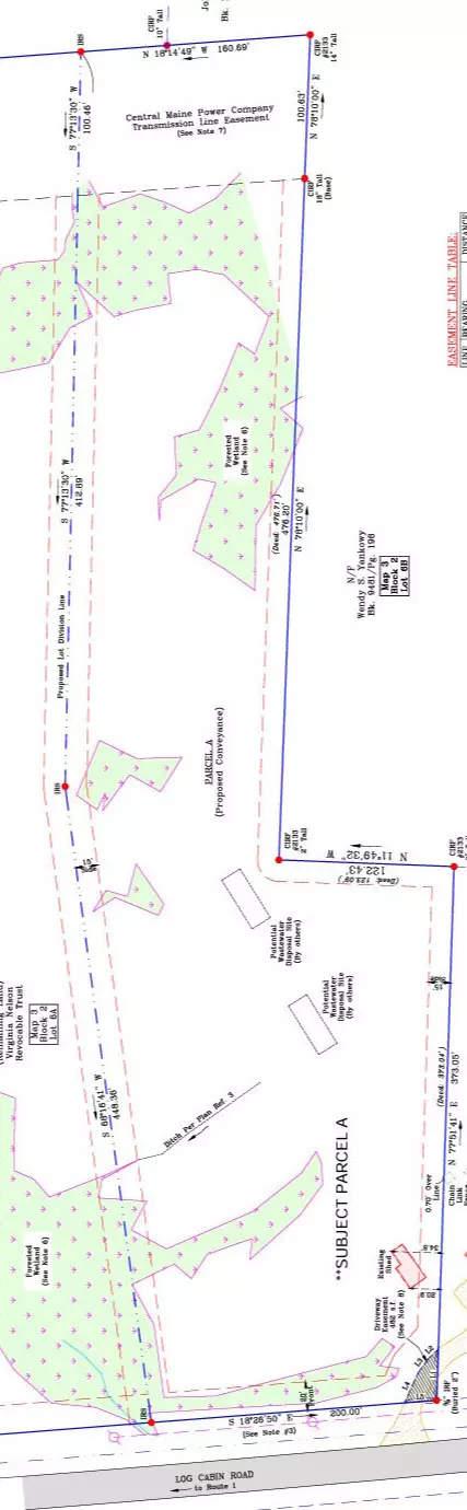
LAND LAND LAND - opportunity to build and design your home for year round living or vacation retreat. Property zoned Farm and Forest which could allow for other uses with Town approval. All surveyed, private driveway access will be needed, private well and private septic. Taxes to be determined, Parcel A being split from larger parcel. Location provides easy access to Dock Square, Goose Rocks Beach, Route 1 and all area amenities and activities.
Location
State ME
County York
Zoning Farm&Forest
Exterior
Parking Features No Driveway
View Y/N Yes
View Trees/Woods
Street Surface Paved
Building
Lot Description Wooded, Near Golf Course, Near Public Beach, Near Shopping, Near Town
Sewer Septic Needed
Water Well Needed on Site
Others
Virtual Tour https://www.propertypanorama.com/instaview/mreis/1608835
Read Less Info





